

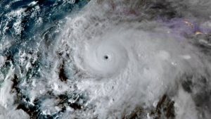
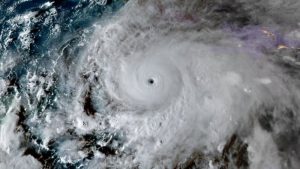
La Federación Internacional de la Cruz Roja estima que millones de personas sufrirán de forma directa el impacto del poderoso ciclón en su ruta por el Caribe, la mayoría ellas en la isla de Jamaica, para la cual este será “el huracán del siglo”. Los detalles
La Federación Internacional de la Cruz Roja dijo este martes que se estima que al menos un millón y medio de personas sufrirán de forma directa el impacto del poderoso huracán Melissa en su ruta por el Caribe, la mayoría ellas en la isla de Jamaica, para la cual este será “el huracán del siglo”.
Solo en Jamaica hasta un millón de personas podrían resultar afectadas, lo que representa más de un tercio de su población total, pero también se prevé que haya centenares de miles de afectados en Cuba, Bahamas, República Dominicana y Haití. En Jamaica, las autoridades prepararon más de 800 refugios para acoger a la población evacuada, según detalló EFE.
Se anticipan graves daños a las infraestructuras, que comunidades enteras queden aisladas y la interrupción de los servicios esenciales debido a la fuerza de este huracán, que será el más fuerte que habrá experimentado Jamaica según los registros, dijo el jefe de la delegación de la FICR para los países de habla inglesa y holandesa, Necephor Mghendi, por teleconferencia desde Trinidad y Tobago. El responsable humanitario dijo que es seguro que tras el paso de Melissa estos países necesitarán de la solidaridad internacional.
Una vez que el huracán haya abandonado tierra, en el primer lugar de las prioridades estará “salvar vidas, luego alimentos, agua potable, refugios y atención médica”, explicó en Ginebra el portavoz de la Oficina de Coordinación Humanitaria de la ONU, Jens Laerke, en una rueda de prensa de los organismos de la ONU implicados en la respuesta a este desastre. “Luego vendrá el momento de la reconstrucción y nosotros estaremos allí, como lo hemos estado antes de que esto ocurra”, agregó.
Sobre la situación en Cuba, indicó que se pudieron enviar suministros al este de la isla, en particular alimentos como arroz, cereales, artículos de higiene y para la purificación del agua. La experta en ciclones tropicales de la Organización Meteorológica Mundial, Anne Claire Fontan, informó de que los vientos alcanzarán los 280 kilómetros por hora, pero que habrá ráfagas de hasta 350 km/h a lo largo del día de hoy. “Dentro del ojo del huracán, es probable que haya una destrucción estructural total”, indicó.
En término de lluvias, dijo que este huracán provocará entre 350 y 750 milímetros de lluvia en partes de Jamaica, lo que equivale a tres veces el promedio mensual, y que puede provocar inundaciones repentinas catastróficas y numerosos deslizamientos de tierra.
Además, indicó que “es probable que hoy se produzca una marejada ciclónica potencialmente mortal a lo largo de la costa sur de Jamaica”, con alturas máximas que podrían alcanzar entre tres y cuatro metros.
La Federación Internacional de la Cruz Roja estima que millones de personas sufrirán de forma directa el impacto del poderoso ciclón en su ruta por el Caribe, la mayoría ellas en la isla de Jamaica, para la cual este será “el huracán del siglo”. Los detalles La Federación Internacional de la Cruz Roja dijo este martes que
